Inside Shark Bay: Stories, Encounters & the Turtles of Koh Tao, Thailand
- jenvdotcom

- Dec 15, 2025
- 4 min read

Shark Bay and the Turtles of Koh Tao Thailand
On the southern tip of Koh Tao lies Shark Bay — a crescent of turquoise water known for its resident sea turtles. It’s one of the few places in Thailand where you can still swim alongside these wild creatures in their natural habitat.
Throughout my years on Koh Tao, I’ve spent countless afternoons here, slipping into the water from the rocks and swimming toward the quieter edges of the bay. In less than two meters of water, among patches of seagrass and coral, I often find myself sharing space with turtles I’ve come to know by sight.

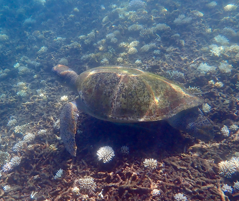
One of them is Yorite — a large green sea turtle with a mangled front right flipper. Despite her injury, she moves gracefully through the shallows, unbothered by the current or the occasional snorkeler who drifts past. Yorite is easy to recognize and impossible to forget. She’s one of more than thirty unique turtles I’ve encountered here in Shark Bay, each with its own markings, scars, and story.

Koh Tao: The Turtle Island
Koh Tao — literally “Turtle Island” in Thai — earned its name long before backpackers arrived with masks and fins. Some say the island’s shape resembles a turtle from above; others believe it was named for the sea turtles that once nested on its quiet beaches.
Located in the Gulf of Thailand, just north of Koh Phangan and Koh Samui, Koh Tao remained isolated until the late 20th century.
Early settlers were mostly fishermen and coconut farmers. In the 1980s, the first divers discovered its coral reefs — and everything changed. Today, there are anywhere between 70-85 dive schools operating in Koh Tao.

But for the turtles, this island has always been home. Green sea turtles and hawksbills are the most common residents. Instead of nesting on beaches as they once did, many now spend their lives grazing in the shallow bays — Shark Bay, Aow Leuk, Sai Tong, Hin Wong, and Tanote — where coral, seagrass, and rocky reefs create perfect feeding grounds.
Each turtle is unique. Some, like Yorite, have scars or markings that make them instantly recognizable. Others are known only by the patterns on their shells, logged and tracked by local divers and conservationists who’ve made it their mission to protect Koh Tao’s oldest inhabitants.

The Koh Tao Turtles Community
One of the most inspiring things about life on Koh Tao is how much the island rallies around its marine life. Turtles aren’t just a passing attraction — they’re part of the island’s identity.
The Koh Tao Turtles Facebook group began as a small project years ago and has grown into a living archive of the island’s turtle population. Locals, dive instructors, and travelers share photos of turtles they encounter. Individual turtles are identified by the unique markings, known as scutes, on their heads. These images help researchers and conservationists track individuals, identify new ones, and monitor their health.
One of the biggest draws of the group is that if you spot a turtle that hasn’t been identified before, you get to name it. It’s a small but meaningful reward for those patient enough to look closely and care deeply.

Protecting Paradise: Conservation & Respect
With more people visiting Koh Tao every year, protecting its marine life has never been more important. The island’s reefs and turtles are resilient, but they’re also fragile — one careless fin kick or curious hand can do real damage.
Whenever I’m in the water and see someone getting too close to a turtle, I speak up. Most people don’t mean harm — they’re just excited — but excitement can easily cross the line into disturbance. Sometimes a calm reminder works, but many times a bit of fear does. Either way, it’s worth it. It’s illegal to touch or harass any marine life in Thailand, and the government takes those laws seriously. These turtles have survived decades of storms, nets, and noise; they deserve at least a few meters of peace.

How to Swim Responsibly with Sea Turtles in Thailand:
Keep a minimum distance of three meters (10 feet).
Never touch or chase turtles — let them approach if they choose.
Avoid standing on or kicking coral; use slow, controlled fin movements.
Do not block their path to the surface — turtles need air.
Use reef-safe sunscreen or, better yet, wear a rash guard.
Don’t feed or bait marine animals.
Leave no trace — take everything you brought into the ocean back out with you.
Conservation on Koh Tao isn’t just for scientists or dive professionals. It’s something every swimmer and snorkeler can practice. Being a positive role model is how true protection starts.

Summary
Through the work of the Koh Tao Turtles community and the growing awareness among visitors, there’s hope that these gentle creatures will continue to thrive here. Every photo shared, every responsible snorkeler, and every moment of restraint add up to protection. The turtles of Koh Tao, Thailand, remind us that paradise isn’t something we take — it’s something we cherish and protect.


Jennifer Varner is a retired counselor, PADI divemaster, aspiring photographer, and a marine citizen scientist living in Koh Tao, Thailand. For questions about the turtles of Koh Tao or travel in Thailand in general as a single woman, feel free to email her at jenvdotcom@gmail.com.



Comments